HOME-Au
HOME-Au
24h
24h
USA
USA
GOP
GOP
Phim Bộ
Phim Bộ
Videoauto
VIDEO-Au
Donation
Donation
News Book
News Book
News 50
News 50
worldautoscroll
WORLD-Au
Breaking
Breaking
 

Go Back   VietBF > World > World News|Tin Thế Giới > World News |Tin Thế Giới 2021-2023


 
Thread Tools
 
 
  #1  
Old  Default Video bão Ian sức gió 195 km/giờ sắp đổ bộ vào Mỹ nhìn từ vệ tinh

Theo như sau khi cơn bão Ian sức gió 195 km/giờ càn quét miền tây Cuba và đánh sập hệ thống điện lưới quốc gia, nay đến cơn bão Ian với sức gió tối đa lên tới 195 km/giờ đang tiến sát tới khu vực ven biển bang Florida, Mỹ.

Là cơn bão thứ 9 trong mùa bão năm nay ở Đại Tây Dương, Ian đã tăng cấp thành bão lớn với cấp độ 3, tương đương sức gió tối đa 195 km/giờ vào sáng ngày 27/9.

Toàn bộ sân bay ở phía nam Florida đã đóng cửa, trong khi các sân bay ở miền trung của bang sẽ tạm ngừng hoạt động bắt đầu từ ngày 28/9, khi bão Ian đổ bộ vào đất liền ở khu vực Sarasota.

NWS cảnh báo bão Ian còn có khả năng mạnh lên cấp 4 khi di chuyển qua khu vực Vịnh Mexico, khiến bang Florida và bang Georgia lân cận phải ban bố tình trạng khẩn cấp. Nhiều hạt dọc theo vùng bờ biển Florida đã ra thông báo yêu cầu người dân sơ tán.

Bão Ian sắp đổ bộ vào bang Florida, Mỹ.

"Người dân Florida sống ở ven biển sẽ cảm nhận thấy tác động rõ rệt của bão. Đây là một cơn bão rất, rất lớn ở thời điểm hiện tại", thống đốc Florida Ron DeSantis trả lời họp báo ngày 27/9.

Ông DeSantis đã huy động 5.000 binh sĩ thuộc lực lượng Vệ binh bang Florida để hỗ trợ phòng chống bão Ian.

Những hình ảnh và video do người dân Mỹ chia sẻ, cho thấy hàng dài đoàn xe rời khỏi khu vực Tampa, nơi chưa từng ghi nhận bão lớn kể từ năm 1921. Ước tính khoảng 2,5 triệu người ở Florida sẽ phải tạm thời sơ tán đến nơi an toàn hơn.

"Đây là tình huống có thể đe dọa sinh mạng", NWS cho biết. "Những người sống trong khu vực bị ảnh hưởng cần thực hiện tất cả các hành động cần thiết để bảo vệ tính mạng và tài sản, cần sơ tán ngay khi còn có thể. Đây không phải là lúc để ở lại. Có những khu vực có thể ghi nhận nước dâng cao nguy hiểm".

Thị trưởng thành phố Tampa, Jane Castor đã tổ chức họp báo và gửi tới người dân thông điệp cảnh báo của NSW, sau khi bão quét qua miền tây Cuba.

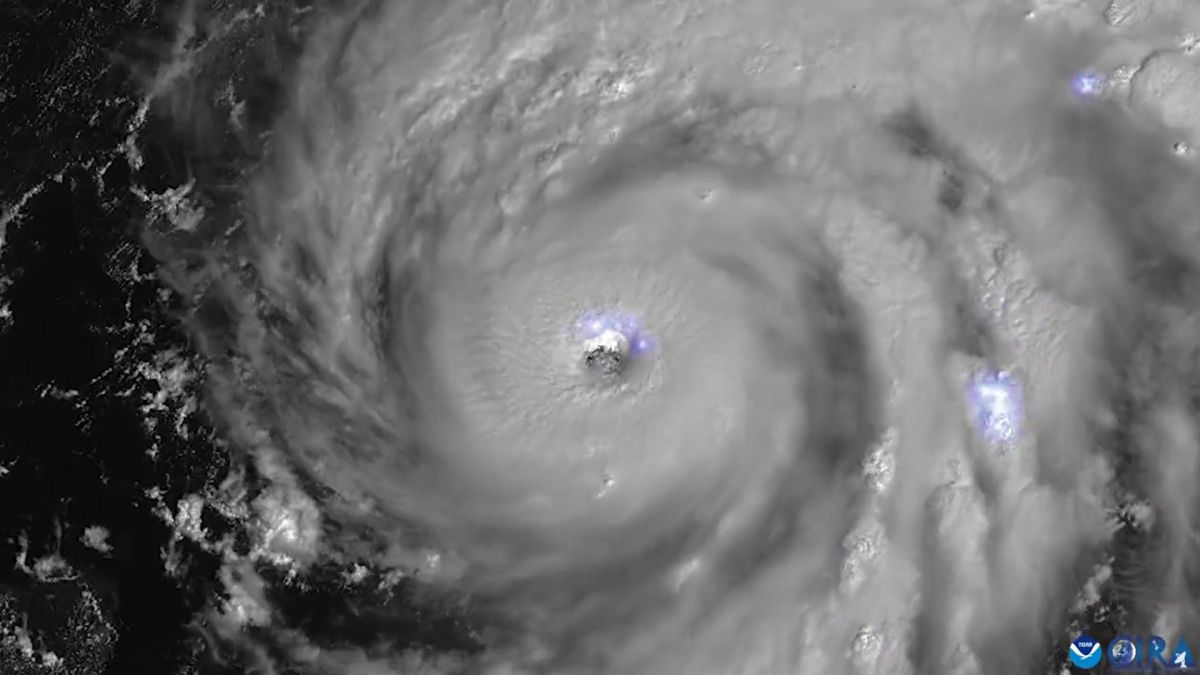
Cận cảnh bão Ian nhìn từ vệ tinh.

"Đây có thể là tình huống tồi tệ nhất với khu vực Vịnh Tampa", bà Castor nói. "Một cơn bão di chuyển chậm ngay ngoài khơi bờ biển của chúng ta sẽ mang tới sự tàn phá đáng kể ở khu vực Vịnh Tampa".

Những hình ảnh và video do vệ tinh của Cơ quan Quản lý Khí quyển và đại dương Quốc gia Mỹ (NOAA) ghi lại, cho thấy cận cảnh mắt bão rất lớn và các tia sét tạo thành vòng sáng xung quanh bão Ian.

Ian được đánh giá là cơn bão lớn đáng kể nhất đổ bộ vào Florida kể từ khi siêu bão Michael tàn phá khu vực bang này vào năm 2018, gây thiệt hại trị giá 25 tỉ USD và khiến 45 người thiệt mạng.
Dịch trang: EnglishEnglish DeutschDeutsch FrançaisFrançais EspañolEspañol ItalianoItaliano PortuguêsPortuguês
NorskNorsk NederlandsNederlands DanskDansk SuomiSuomi PolskiPolski ČeštinaČeština РусскийРусский
日本語日本語 한국어한국어 中文(简体)中文(简体) 中文(繁體)中文(繁體) MagyarMagyar TürkçeTürkçe
العربيةالعربية ไทยไทย LatinaLatina हिन्दीहिन्दी Bahasa IndonesiaBahasa Indonesia Bahasa MelayuBahasa Melayu
VIETBF Hybrid Community Content Hub

HOT NEWS 24h

HOT 3 Days

NEWS 3 Days

HOT 7 Days

NEWS 7 Days

HOME

Breaking News

VietOversea

World News

Business News

Car News

Computer News

Game News

USA News

Mobile News

Music News

Movies News

History

Thơ Ca

Sport News

Stranger Stories

Comedy Stories

Cooking Chat

Nice Pictures

Fashion

School

Travelling

Funny Videos

Canada Tin Hay

USA Tin Hay

VietBF Homepage Autoscroll

VietBF Video Autoscroll Portal

Video Classic Master

iPad News Portal

VietBF iPad Music Portal

Tin nóng nhất 50h qua

Phim Bộ Online

iMusic Pro Max



vuitoichat
R11 Tuyệt Thế Thiên Hạ
Release: 09-28-2022
Reputation: 370712


Profile:
Join Date: Jan 2008
Posts: 150,913
Last Update: None Rating: None
Attached Thumbnails
Click image for larger version

Name:	1.jpg
Views:	0
Size:	75.0 KB
ID:	2117696  
vuitoichat_is_offline
Thanks: 11
Thanked 14,270 Times in 11,412 Posts
Mentioned: 3 Post(s)
Tagged: 1 Thread(s)
Quoted: 44 Post(s)
Rep Power: 187
vuitoichat Reputation Uy Tín Level 10vuitoichat Reputation Uy Tín Level 10vuitoichat Reputation Uy Tín Level 10vuitoichat Reputation Uy Tín Level 10vuitoichat Reputation Uy Tín Level 10
vuitoichat Reputation Uy Tín Level 10vuitoichat Reputation Uy Tín Level 10vuitoichat Reputation Uy Tín Level 10vuitoichat Reputation Uy Tín Level 10vuitoichat Reputation Uy Tín Level 10vuitoichat Reputation Uy Tín Level 10vuitoichat Reputation Uy Tín Level 10vuitoichat Reputation Uy Tín Level 10
Dịch trang: EnglishEnglish DeutschDeutsch FrançaisFrançais EspañolEspañol ItalianoItaliano PortuguêsPortuguês
NorskNorsk NederlandsNederlands DanskDansk SuomiSuomi PolskiPolski ČeštinaČeština РусскийРусский
日本語日本語 한국어한국어 中文(简体)中文(简体) 中文(繁體)中文(繁體) MagyarMagyar TürkçeTürkçe
العربيةالعربية ไทยไทย LatinaLatina हिन्दीहिन्दी Bahasa IndonesiaBahasa Indonesia Bahasa MelayuBahasa Melayu
 
User Tag List


Những chuyện hài hước nhất hôm nay Bàn Cờ Vây Trung Đông: Khi Những Con Sóng Hormuz Thử Thách Bản Lĩnh Donald Trump Khi Quyền Lực Đối Đầu Đức Tin: Cuộc Tỉ Thí Giữa "Gã Khổng Lồ" Donald Trump Và Đức Giáo Hoàng Leo XIV
Bão Biển Trường Kỳ: Canh Bạc Phong Tỏa Của Tổng Thống Trump Tại Eo Biển Hormuz Cuộc Khẩu Chiến Nảy Lửa Giữa Tổng Thống Trump Và Giáo Hoàng Leo XIV Chảo lửa Hormuz rực cháy: Trump "đóng cửa" eo biển, giá dầu vượt ngưỡng 100 USD - Viễn cảnh tồi tệ cho kinh tế toàn cầu
Thành trì MAGA tại châu Âu bị sụp đổ Địa chấn chính trị Hungary 2026: Đồng minh của ông Trump thất thế, Tisza Párt trỗi dậy như cơn lũ thời đại số Hai mặt trận cùng “im tiếng súng”: Lệnh ngừng bắn của Trump và Putin – khoảng lặng mong manh trước cơn bão lớn?
Sự Thật Sau Làn Sương Tin Giả: Phi Vụ Giải Cứu Phi Công Mỹ Trong Lòng Iran Và Cuộc Chiến Thông Tin Chấn Động Thế Giới Những chuyện hài hước nhất hôm nay +video Mỹ thành công cứu phi công mất tích
Chiến tranh Iran: Khi “bầu trời bất khả xâm phạm” của Mỹ bắt đầu rạn nứt Khủng hoảng dầu mỏ lan thành “cơn bão thiếu hụt”: Khi nhựa, thực phẩm và cả đời sống toàn cầu bị cuốn vào vòng xoáy chiến tranh Tư nhân hóa an ninh sân bay Mỹ: Canh bạc tiết kiệm hay rủi ro an toàn?
Xăng đắt nhất hành tinh: Hong Kong “đốt tiền” vì dầu mỏ, cơn bão năng lượng lan khắp thế giới Iran tung tin bắt sống phi công Mỹ, ngoài F-15 thì còn bắn hạ một trực thăng và một máy bay khác Mỹ xác nhận máy bay bị bắn rơi trên đất Iran: Sự thật dần lộ diện từ mảnh vỡ và chiến dịch giải cứu nghẹt thở
Mục Tát Ba – Tân Giáo chủ Ba Tư giữa khói lửa chiến tranh và những tin đồn chấn động Eo biển Hormuz thành ‘tử lộ’ dầu mỏ: Iran rải thủy lôi, thế giới nín thở chờ cơn địa chấn năng lượng Chiến tranh Ba Tư và bài toán chiến thắng
Iran tung đòn tên lửa nặng nhất, Mỹ – Israel đáp trả, dân Việt Nam đổ xô đi mua xăng Mỹ tiếp tục đánh lớn, Bắc Hàn bênh Iran, Nga hứa giúp đánh bại Trump, dân tình đổ đi mua xăng tích trữ Tân Giáo Chủ Thần Giáo Ba Tư Mojtaba Khamenei: Người kế vị bí ẩn vẫn “mất tích” giữa chiến tranh – Tehran rung chuyển trong mưa bom
Mỹ đốt 2,8 tỷ USD hàng ngày tại Iran Ghét tư bản nhưng gửi con sang tư bản: bài ca muôn thuở của mọi chế độ độc tài, cháu gái Giáo Chủ Iran ở Canada Nhao nhao lên ủng hộ Iran, Việt cộng không biết rằng Thần Quyền Y Lãng đại ghét cộng sản, giết không còn một mống

 

iPad Videos Portal Autoscroll

VietBF Music Portal Autoscroll

iPad News Portal Autoscroll

VietBF Homepage Autoscroll

VietBF Video Autoscroll Portal

USA News Autoscroll Portall

VietBF WORLD Autoscroll Portal

Video Classic Master Page

Super Widescreen

iPad World Portal Autoscroll

iPad USA Portal Autoscroll

Phim Bộ Online
Lên đầu Xuống dưới Lên 3000px Xuống 3000px

Tin nóng nhất 24h qua

Tin nóng nhất 3 ngày qua

Tin nóng nhất 7 ngày qua

Tin nóng nhất 30 ngày qua

Albums

Total Videos Online

Tranh luận sôi nổi nhất 7 ngày qua

Tranh luận sôi nổi nhất 14 ngày qua

Tranh luận sôi nổi nhất 30 ngày qua

10.000 Tin mới nhất

Tin tức Hoa Kỳ

Tin tức Công nghệ
Lên đầu Xuống dưới Lên 3000px Xuống 3000px

Duo Series Movies Portal

Duo Music Portal

Phim Bộ

Tỷ Giá

Thời Tiết

Tin Nóng Nhất 50h

Super News

School Cooking Traveling Portal

Enter Portal

Series Shows and Movies Online

Home Classic Master Page

Donation Ủng hộ $3 cho VietBF
Lên đầu Xuống dưới Lên 3000px Xuống 3000px
Diễn Đàn Người Việt Hải Ngoại. Tự do ngôn luận, an toàn và uy tín. Vì một tương lai tươi đẹp cho các thế hệ Việt Nam hãy ghé thăm chúng tôi, hãy tâm sự với chúng tôi mỗi ngày, mỗi giờ và mỗi giây phút có thể. VietBF.Com Xin cám ơn các bạn, chúc tất cả các bạn vui vẻ và gặp nhiều may mắn.
Welcome to Vietnamese American Community, Vietnamese European, Canadian, Australian Forum, Vietnamese Overseas Forum. Freedom of speech, safety and prestige. For a beautiful future for Vietnamese generations, please visit us, talk to us every day, every hour and every moment possible. VietBF.Com Thank you all and good luck.

Lên đầu Xuống dưới Lên 3000px Xuống 3000px

All times are GMT. The time now is 12:04.
VietBF - Vietnamese Best Forum Copyright ©2005 - 2026
User Alert System provided by Advanced User Tagging (Pro) - vBulletin Mods & Addons Copyright © 2026 DragonByte Technologies Ltd.
Log Out Unregistered

Page generated in 0.10882 seconds with 13 queries