HOME-Au
HOME-Au
24h
24h
USA
USA
GOP
GOP
Phim Bộ
Phim Bộ
Videoauto
VIDEO-Au
Donation
Donation
News Book
News Book
News 50
News 50
worldautoscroll
WORLD-Au
Breaking
Breaking
 

Go Back   VietBF > Other > History | Lịch Sử


Reply
Thread Tools
 
 
  #1  
Old  Default Kỳ bí âm thanh ở Thái Bình Dương nghi do thủy quái tạo ra
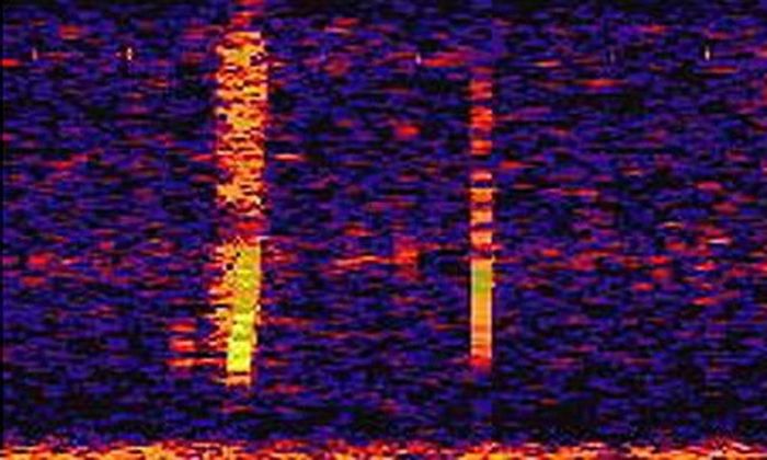
Cách đây 27 năm, các chuyên gia đã ghi nhận được âm thanh tần số thấp ở Point Nemo, Thái Bình Dương. Âm thanh bí ẩn này được đặt tên là 'Bloop', bị nghi do thủy quái khủng tạo ra.

Point Nemo ở Nam Thái Bình Dương được coi là điểm xa xôi nhất trên Trái đất. Tại nơi này, vào năm 1997, Cơ quan Khí quyển và Đại dương Quốc gia Mỹ (NOAA) phát hiện một âm thanh bí ẩn.


Cụ thể, các chuyên gia của NOAA thu được âm thanh tần số cực thấp và được đặt tên là "Bloop".

Được phát hiện bởi các thiết bị thủy âm đặt rải rác ở Thái Bình Dương, âm thanh "Bloop" là một trong số những âm thanh lớn nhất từng được ghi nhận dưới nước.

Âm thanh "Bloop" lớn đến mức thiết bị thủy âm của NOAA đặt cách xa tới 4.800 km cũng thu nhận được.

Sau khi thu được âm thanh "Bloop" bí ẩn, các chuyên gia, nhà khoa học đã nhanh chóng bắt tay vào nghiên cứu nhằm tìm ra "thủ phạm" tạo ra tiếng ồn đó.

Theo các nhà nghiên cứu, âm thanh "Bloop" lớn hơn nhiều so với bất kỳ tiếng ồn nào do động vật gây ra, kể cả những con cá voi khủng nhất.

Theo các nhà nghiên cứu, âm thanh "Bloop" lớn hơn nhiều so với bất kỳ tiếng ồn nào do động vật gây ra, kể cả những con cá voi khủng nhất.

Do âm thanh "Bloop" thu được ở khoảng cách tới 4.800 km nên giới nghiên cứu nhận định nó không thuộc về loài động vật nào đã biết đến.

Vậy nên, các chuyên gia suy đoán âm thanh "Bloop" bí ẩn có thể do loài thủy quái chưa từng biết đến tạo ra. Điều này có khả năng xảy ra bởi hơn 80% đại dương chưa được con người khám phá.

Xuất phát từ điều này, nhiều người hy vọng với sự tiến bộ của khoa học công nghệ, các nhà khoa học sẽ sớm khám phá toàn bộ đại dương trên Trái đất, xác định được "thủ phạm" phát ra âm thanh "Bloop" kỳ bí.
Dịch trang: EnglishEnglish DeutschDeutsch FrançaisFrançais EspañolEspañol ItalianoItaliano PortuguêsPortuguês
NorskNorsk NederlandsNederlands DanskDansk SuomiSuomi PolskiPolski ČeštinaČeština РусскийРусский
日本語日本語 한국어한국어 中文(简体)中文(简体) 中文(繁體)中文(繁體) MagyarMagyar TürkçeTürkçe
العربيةالعربية ไทยไทย LatinaLatina हिन्दीहिन्दी Bahasa IndonesiaBahasa Indonesia Bahasa MelayuBahasa Melayu
VIETBF Hybrid Community Content Hub

HOT NEWS 24h

HOT 3 Days

NEWS 3 Days

HOT 7 Days

NEWS 7 Days

HOME

Breaking News

VietOversea

World News

Business News

Car News

Computer News

Game News

USA News

Mobile News

Music News

Movies News

History

Thơ Ca

Sport News

Stranger Stories

Comedy Stories

Cooking Chat

Nice Pictures

Fashion

School

Travelling

Funny Videos

Canada Tin Hay

USA Tin Hay

VietBF Homepage Autoscroll

VietBF Video Autoscroll Portal

Video Classic Master

iPad News Portal

VietBF iPad Music Portal

Tin nóng nhất 50h qua

Phim Bộ Online

iMusic Pro Max



miro1510
R9 Tuyệt Đỉnh Tôn Sư
Release: 03-18-2024
Reputation: 13837


Profile:
Join Date: Oct 2014
Posts: 47,171
Last Update: None Rating: None
Attached Thumbnails
Click image for larger version

Name:	1000efb56af983a7dae8.jpg
Views:	0
Size:	51.9 KB
ID:	2349258  
miro1510_is_offline
Thanks: 9
Thanked 2,096 Times in 1,935 Posts
Mentioned: 3 Post(s)
Tagged: 0 Thread(s)
Quoted: 8 Post(s)
Rep Power: 59
miro1510 Reputation Uy Tín Level 6
miro1510 Reputation Uy Tín Level 6miro1510 Reputation Uy Tín Level 6miro1510 Reputation Uy Tín Level 6miro1510 Reputation Uy Tín Level 6miro1510 Reputation Uy Tín Level 6miro1510 Reputation Uy Tín Level 6miro1510 Reputation Uy Tín Level 6miro1510 Reputation Uy Tín Level 6miro1510 Reputation Uy Tín Level 6miro1510 Reputation Uy Tín Level 6miro1510 Reputation Uy Tín Level 6miro1510 Reputation Uy Tín Level 6miro1510 Reputation Uy Tín Level 6miro1510 Reputation Uy Tín Level 6miro1510 Reputation Uy Tín Level 6miro1510 Reputation Uy Tín Level 6
Dịch trang: EnglishEnglish DeutschDeutsch FrançaisFrançais EspañolEspañol ItalianoItaliano PortuguêsPortuguês
NorskNorsk NederlandsNederlands DanskDansk SuomiSuomi PolskiPolski ČeštinaČeština РусскийРусский
日本語日本語 한국어한국어 中文(简体)中文(简体) 中文(繁體)中文(繁體) MagyarMagyar TürkçeTürkçe
العربيةالعربية ไทยไทย LatinaLatina हिन्दीहिन्दी Bahasa IndonesiaBahasa Indonesia Bahasa MelayuBahasa Melayu
Reply

User Tag List


Quyết chiến tại Washington: Khi Donald Trump tuyên chiến với "Pháo đài" Jerome Powell California chao đảo sau bê bối Swalwell: Gavin Newsom đứng trước bài toán quyền lực và tương lai Nhà Trắng Người Mỹ “dịu lại” với Trung Quốc: Khi chiến tranh, thương mại và mạng xã hội cùng xoay chiều dư luận toàn cầu
Việt Nam “nghiêng trục” về Trung Quốc: Học mô hình quản trị hay đánh đổi chủ quyền? LƯỚI TRỜI LỒNG LỘNG: CỰU TRÙM TÌNH BÁO BRAZIL SA LƯỚI TẠI MỸ SÓNG NGẦM HỌC ĐƯỜNG NGA: KHI GIẢNG ĐƯỜNG TRỞ THÀNH "BÀN ĐẠP" ĐƯA SINH VIÊN RA CHIẾN TRƯỜNG
“Bế tắc Hormuz: Mỹ – Iran giằng co từng tấc uranium, chiến tranh kinh tế đẩy thế giới vào vòng xoáy mới” Khi "Quyền Lực Sắt" Chạm Phải Đá: Những Giới Hạn Trong Tham Vọng Thống Trị Của Donald Trump "Mãnh hổ" Mark Carney và cú lội ngược dòng lịch sử: Một Canada đoàn kết trước "bão lửa" Donald Trump
Nguyên nhân tàu dầu Nga lại đến được Cuba? Vì Sao Mỹ – Israel lại không giết tổng thống và bộ trưởng ngoại giao Iran? Trump Và Canh Bạc NATO: Khi Đồng Minh Trở Thành Gánh Nặng Và Luật Pháp Thành Rào Cản
Lại thêm một người đẹp "mê hồn" sắp bị ông Trump sa thải? (hoặc bị chuyển qua vị trí khác) Nhất Thống Giang Hồ, Phá đảo thành công, ông Trump sẽ lên ngôi Bá Chủ Trung Đông Pete Hegseth và chiến tranh Iran: Từ người dẫn chương trình truyền hình đến ‘bộ mặt’ của Lầu Năm Góc
Sandro Castro – cháu nội của cố lãnh tụ Fidel Castro - ‘Thái tử ăn chơi’ của Cuba và tấm gương phản chiếu cơn khủng hoảng của đảo quốc Thế cờ eo biển Hormuz: Ông Trump mạnh hơn Iran, nhưng chưa chắc đã nắm phần thắng “Làn Sóng ‘Plan B’: Người Mỹ Đổ Xô Tìm Quốc Tịch Canada Giữa Biến Động Chính Trị”
Vàng lên cơn sốt: Vì sao thế giới lại ôm vàng, tích vàng và đẩy giá vàng bay cao? Người Ả Rập tại Mỹ: một cộng đồng đông đảo, âm thầm nhưng có ảnh hưởng ngày càng lớn Giáo Chủ Thần Quyền Y Lãng Mục Kiệt Tháp Ba (Mojtaba Khamenei) là ai?
Iran tuyên bố leo thang chiến tranh, Mỹ tuyên bố đã tấn công hơn 5.000 mục tiêu tại Iran, Khủng hoảng dầu mỏ lớn nhất trong lịch sử Những nghề nguy hiểm nhất thế giới: miếng cơm nào cũng có cái giá của nó Nga lập tức chống lưng Mojtaba, Iran tuyên bố không đàm phán, Starmer giữ khoảng cách với Trump
Chiều cao của các nguyên thủ quốc gia: Có người cao tới 1m90, nhưng cũng có người chỉ vỏn vẹn 1m37 Iran đổi ngôi giữa khói lửa: Mojtaba Khamenei lên nắm quyền, chiến tranh lan khắp Vùng Vịnh, dầu vượt 111 USD/thùng Giá xăng tại các tiểu bang Mỹ: vì sao cùng một nước mà nơi rẻ bất ngờ, nơi lại đắt đỏ đến chóng mặt?

 

iPad Videos Portal Autoscroll

VietBF Music Portal Autoscroll

iPad News Portal Autoscroll

VietBF Homepage Autoscroll

VietBF Video Autoscroll Portal

USA News Autoscroll Portall

VietBF WORLD Autoscroll Portal

Video Classic Master Page

Super Widescreen

iPad World Portal Autoscroll

iPad USA Portal Autoscroll

Phim Bộ Online
Lên đầu Xuống dưới Lên 3000px Xuống 3000px

Tin nóng nhất 24h qua

Tin nóng nhất 3 ngày qua

Tin nóng nhất 7 ngày qua

Tin nóng nhất 30 ngày qua

Albums

Total Videos Online

Tranh luận sôi nổi nhất 7 ngày qua

Tranh luận sôi nổi nhất 14 ngày qua

Tranh luận sôi nổi nhất 30 ngày qua

10.000 Tin mới nhất

Tin tức Hoa Kỳ

Tin tức Công nghệ
Lên đầu Xuống dưới Lên 3000px Xuống 3000px

Duo Series Movies Portal

Duo Music Portal

Phim Bộ

Tỷ Giá

Thời Tiết

Tin Nóng Nhất 50h

Super News

School Cooking Traveling Portal

Enter Portal

Series Shows and Movies Online

Home Classic Master Page

Donation Ủng hộ $3 cho VietBF
Lên đầu Xuống dưới Lên 3000px Xuống 3000px
Diễn Đàn Người Việt Hải Ngoại. Tự do ngôn luận, an toàn và uy tín. Vì một tương lai tươi đẹp cho các thế hệ Việt Nam hãy ghé thăm chúng tôi, hãy tâm sự với chúng tôi mỗi ngày, mỗi giờ và mỗi giây phút có thể. VietBF.Com Xin cám ơn các bạn, chúc tất cả các bạn vui vẻ và gặp nhiều may mắn.
Welcome to Vietnamese American Community, Vietnamese European, Canadian, Australian Forum, Vietnamese Overseas Forum. Freedom of speech, safety and prestige. For a beautiful future for Vietnamese generations, please visit us, talk to us every day, every hour and every moment possible. VietBF.Com Thank you all and good luck.

Lên đầu Xuống dưới Lên 3000px Xuống 3000px

All times are GMT. The time now is 04:50.
VietBF - Vietnamese Best Forum Copyright ©2005 - 2026
User Alert System provided by Advanced User Tagging (Pro) - vBulletin Mods & Addons Copyright © 2026 DragonByte Technologies Ltd.
Log Out Unregistered

Page generated in 0.10396 seconds with 13 queries