HOME-Au
HOME-Au
24h
24h
USA
USA
GOP
GOP
Phim Bộ
Phim Bộ
Videoauto
VIDEO-Au
Home Classic
Home Classic
Donation
Donation
News Book
News Book
News 50
News 50
worldautoscroll
WORLD-Au
Breaking
Breaking
 

Go Back   VietBF > World Box| Thế Giới > World News|Tin Thế Giới > World News |Tin Thế Giới 2019-2021


 
 
Thread Tools
  #1  
Old  Default Ấn Độ gồng mình chống đỡ siêu bão sức gió 250km/giờ
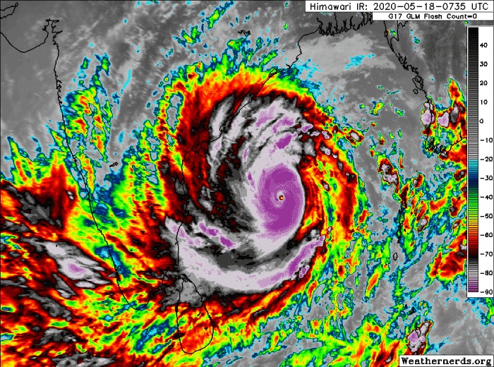
Vất vả đối phó Covid-19, Ấn Độ lại gồng mình chống đỡ siêu bão sức gió 250km/giờ. Từ ngày 18/5, Ấn Độ bắt đầu sơ tán hàng ngàn người dân, ngừng toàn bộ các hoạt động ở cảng biển khi siêu bão Amphan sắp đổ bộ vào bờ biển phía đông.



Siêu bão Amphan đang ngày càng trở nên nguy hiểm.

Theo Daily Mail, trong bối cảnh dịch bệnh Covid-19 tiếp tục diễn biến phức tạp, Ấn Độ lại sắp phải hứng chịu siêu bão nguy hiểm. Thủ tướng Ấn Độ Narendra Modi hôm 17.5 đã thông báo kéo dài thời gian phong tỏa toàn quốc đến hết tháng 5 vì dịch bệnh vẫn lây lan mạnh

Ở ngoài khơi, siêu bão Amphan với sức gió lên tới 250km/giờ đang âm thầm tiến vào bờ. Siêu bão đã mạnh tới cấp 5 trong thang dự báo bão của Mỹ, dự kiến sẽ đổ bộ vào bờ đông Ấn Độ trong ngày 20.5.

Khu vực bang Tây Bengal, giáp biên giới Bangladesh, có nguy cơ chịu thiệt hại nặng nề nhất do mật độ dân cư đông, đa số dân nghèo. Siêu bão đổ bộ vào khu vực này có thể kéo theo những cơn sóng cao tới 9m.

Ấn Độ hiện đang là một trong những quốc gia có quãng thời gian phong tỏa toàn quốc dài nhất. Dịch bệnh đã khiến hơn 100.000 người nhiễm virus và 3.156 ca tử vong.

Bang Odisha và Tây Bengal đã cử một nhóm kiểm soát thảm họa đến từng ngôi nhà không đảm bảo an toàn để yêu cầu người trong nhà đi sơ tán.

“Chúng tôi sơ tán những người sống ở vùng thấp, nhà cửa xây dựng sơ sài, cũng như đảm bảo rằng họ tuân thủ các quy định ngăn ngừa Covid-19”, quan chức Ấn Độ nói, nhấn mạnh rằng nhiệm vụ này không hề dễ dàng.

Mùa mưa bão ở Ấn Độ kéo dài từ tháng 4 đến tháng 12, với nhiều trận bão lớn, thường gây ra tình trạng tử vong trên diện rộng.

Chính quyền địa phương đã phong tỏa các cảng biển ở Odisha và vịnh Bengal, cấm người dân ra khơi trong thời điểm này.

Thủ tướng Ấn độ Narendra Modi đã nhóm họp khẩn cấp ở New Delhi để bàn về cách giảm thiểu đến tối thiểu thiệt hại do siêu bão gây ra.

Theo các thông tin dự báo, siêu bão Amphan sẽ còn gia tăng sức mạnh trước khi đổ bộ vào đất liền, kéo theo lũ quét và mưa lớn.

Với đường bờ biển dài hơn 7.500km, Ấn Độ phải hứng chịu khoảng 1/10 số cơn bão nhiệt đới trên thế giới mỗi năm, phần lớn trong số đó quét qua bờ biển phía đông gần vịnh Bengal.

VietBF@ sưu tầm.
VIETBF Diễn Đàn Hay Nhất Của Người Việt Nam

HOT NEWS 24h

HOT 3 Days

NEWS 3 Days

HOT 7 Days

NEWS 7 Days

HOME

Breaking News

VietOversea

World News

Business News

Car News

Computer News

Game News

USA News

Mobile News

Music News

Movies News

History

Thơ Ca

Sport News

Stranger Stories

Comedy Stories

Cooking Chat

Nice Pictures

Fashion

School

Travelling

Funny Videos

Canada Tin Hay

USA Tin Hay

VietBF Homepage Autoscroll

VietBF Video Autoscroll Portal

Home Classic

Home Classic Master Page



pizza
R11 Tuyệt Thế Thiên Hạ
Release: 05-19-2020
Reputation: 237144


Profile:
Join Date: Sep 2014
Posts: 106,491
Last Update: None Rating: None
Attached Thumbnails
Click image for larger version

Name:	221.jpg
Views:	0
Size:	273.5 KB
ID:	1584533  
pizza_is_offline
Thanks: 7
Thanked 8,101 Times in 7,211 Posts
Mentioned: 6 Post(s)
Tagged: 0 Thread(s)
Quoted: 41 Post(s)
Rep Power: 129
pizza Reputation Uy Tín Level 10pizza Reputation Uy Tín Level 10pizza Reputation Uy Tín Level 10pizza Reputation Uy Tín Level 10pizza Reputation Uy Tín Level 10pizza Reputation Uy Tín Level 10pizza Reputation Uy Tín Level 10
pizza Reputation Uy Tín Level 10pizza Reputation Uy Tín Level 10pizza Reputation Uy Tín Level 10pizza Reputation Uy Tín Level 10pizza Reputation Uy Tín Level 10pizza Reputation Uy Tín Level 10pizza Reputation Uy Tín Level 10pizza Reputation Uy Tín Level 10pizza Reputation Uy Tín Level 10pizza Reputation Uy Tín Level 10pizza Reputation Uy Tín Level 10pizza Reputation Uy Tín Level 10pizza Reputation Uy Tín Level 10pizza Reputation Uy Tín Level 10pizza Reputation Uy Tín Level 10pizza Reputation Uy Tín Level 10pizza Reputation Uy Tín Level 10pizza Reputation Uy Tín Level 10pizza Reputation Uy Tín Level 10pizza Reputation Uy Tín Level 10pizza Reputation Uy Tín Level 10pizza Reputation Uy Tín Level 10
 
User Tag List


Những chuyện hài hước nhất hôm nay Mailisa bất ngờ “đóng cửa” giữa bão điều tra: Đế chế làm đẹp nghìn tỷ khép lại MAGA Đen - MAGA Đỏ - Giấc mơ đế chế dữ liệu của Peter Thiel và giới trọc phú công nghệ
Ánh đèn hiên nhà trong đêm bão tuyết: câu chuyện Lễ Tạ Ơn kỳ diệu sau 41 năm Xả súng gần Nhà Trắng: Bi kịch Lễ Tạ Ơn và cuộc chơi chính trị của Trump với hồ sơ di dân Afghanistan Từ Frankenstein đến Game of Drones: Khi công nghệ biến chiến tranh thành cuộc hỗn loạn vĩnh viễn
Biển lửa Wang Fuk Court: 65 người chết, Hồng Kông choáng váng trước “thảm họa giàn giáo tre” Biển lửa Wang Fuk Court: Thảm họa người già Hồng Kông và cuộc điều tra “sự cứu thả chết người” Chết cháy hàng loạt tại Hồng Kông, các toà nhà biến thành địa ngục, hàng trăm người mất tích
Black Friday ảm đạm ngoài phố, rực lửa trên livestream: Người Việt đổi kiểu săn sale Cánh tay phải của Zelensky ngã ngựa: Ukraine bị ép chọn giữa danh dự và đồng minh Tryptophan trên tiểu hành tinh Bennu: Phát hiện mới cho thấy “công thức sự sống” đến từ vũ trụ
Trump, Donetsk và “thỏa thuận không thể”: Ukraine bị ép vào góc hẹp của một nền hòa bình đẫm máu Từ Stalin tới Putin: 86 năm sau, bóng ma chiến tranh mùa đông vẫn ám ảnh đế quốc Nga Putin khen kế hoạch hòa bình của Mỹ nhưng dọa chiếm thêm đất nếu Kyiv không rút quân
Trump siết nhập cư sau vụ nổ súng: Rà soát toàn bộ thẻ xanh từ 19 “quốc gia đáng lo ngại” Thảm họa cháy chung cư ở Hong Kong: 128 người chết, hàng trăm người mất tích và những câu hỏi nhức nhối Cô gái Brazil bị trục xuất và nghịch lý cay đắng ngay trong gia đình phát ngôn viên Nhà Trắng

 
Lên đầu Xuống dưới Lên 3000px Xuống 3000px

iPad Videos Portal Autoscroll

VietBF Music Portal Autoscroll

iPad News Portal Autoscroll

VietBF Homepage Autoscroll

VietBF Video Autoscroll Portal

USA News Autoscroll Portall

VietBF WORLD Autoscroll Portal

Home Classic

Super Widescreen

iPad World Portal Autoscroll

iPad USA Portal Autoscroll

Phim Bộ Online

Tin nóng nhất 24h qua

Tin nóng nhất 3 ngày qua

Tin nóng nhất 7 ngày qua

Tin nóng nhất 30 ngày qua

Albums

Total Videos Online
Lên đầu Xuống dưới Lên 3000px Xuống 3000px

Tranh luận sôi nổi nhất 7 ngày qua

Tranh luận sôi nổi nhất 14 ngày qua

Tranh luận sôi nổi nhất 30 ngày qua

10.000 Tin mới nhất

Tin tức Hoa Kỳ

Tin tức Công nghệ
Lên đầu Xuống dưới Lên 3000px Xuống 3000px

Super News

School Cooking Traveling Portal

Enter Portal

Series Shows and Movies Online

Home Classic Master Page

Donation Ủng hộ $3 cho VietBF
Lên đầu Xuống dưới Lên 3000px Xuống 3000px
Diễn Đàn Người Việt Hải Ngoại. Tự do ngôn luận, an toàn và uy tín. Vì một tương lai tươi đẹp cho các thế hệ Việt Nam hãy ghé thăm chúng tôi, hãy tâm sự với chúng tôi mỗi ngày, mỗi giờ và mỗi giây phút có thể. VietBF.Com Xin cám ơn các bạn, chúc tất cả các bạn vui vẻ và gặp nhiều may mắn.
Welcome to Vietnamese American Community, Vietnamese European, Canadian, Australian Forum, Vietnamese Overseas Forum. Freedom of speech, safety and prestige. For a beautiful future for Vietnamese generations, please visit us, talk to us every day, every hour and every moment possible. VietBF.Com Thank you all and good luck.

Lên đầu Xuống dưới Lên 3000px Xuống 3000px

All times are GMT. The time now is 00:59.
VietBF - Vietnamese Best Forum Copyright ©2005 - 2025
User Alert System provided by Advanced User Tagging (Pro) - vBulletin Mods & Addons Copyright © 2025 DragonByte Technologies Ltd.
Log Out Unregistered

Page generated in 0.10964 seconds with 13 queries