HOME-Au
HOME-Au
24h
24h
USA
USA
GOP
GOP
Phim Bộ
Phim Bộ
Videoauto
VIDEO-Au
Donation
Donation
News Book
News Book
News 50
News 50
worldautoscroll
WORLD-Au
Breaking
Breaking
 

Go Back   VietBF > World > World News|Tin Thế Giới > World News |Tin Thế Giới 2021-2023


 
Thread Tools
 
 
  #1  
Old  Default Cả hai nửa bán cầu đều bị bão lớn hoành hành
Bão lớn hoành hành hai nửa bán cầu. Trong khi châu Á đối phó với bão Noru, người dân Mỹ và các đảo quốc vùng Caribe cũng đang gia cố nhà cửa và tích trữ nhu yếu phẩm trước khi bão Ian quét qua.



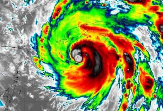
Tâm bão Ian áp sát lãnh thổ Cuba, sáng 27/9 (giờ Việt Nam). Ảnh: Prensa Latina.
Hôm 26/9, giới chức Cuba đã tuyên bố đặt các tỉnh miền Tây đất nước - Pinar del Río, Artemisa, La Habana, Mayabeque, Matanzas, Cienfuegos và đảo Juventud - vào tình trạng báo động khi cơn bão Ian đến gần, Prensa Latina cho biết.

Cùng ngày, ở nửa kia địa cầu, bão Noru quét qua lãnh thổ Philippines để tiến vào Biển Đông, để lại đằng sau cảnh tàn phá và lũ lụt.

Trước tình trạng biến đổi khí hậu ngày một nghiêm trọng, các hiện tượng thời tiết cực đoan như siêu bão được cho là sẽ xuất hiện với tần suất ngày một dày đặc, đe dọa trực tiếp đến cuộc sống của hàng trăm triệu người dân trên khắp thế giới.

Châu Á gồng mình
Sáng 26/9, Tổng thống Philippines Ferdinand Marcos Jr. thị sát các vùng bị ảnh hưởng bởi bão Noru bằng máy bay.

“Chúng tôi thấy một số khu vực vẫn chìm trong biển nước”, ông viết trên Twitter. “Tỉnh Nueva Ecija và Aurora không có điện. Chúng tôi đang gửi các máy phát điện tới”.

Tuy đã chuẩn bị trước, Philippines vẫn chịu thiệt hại khi siêu bão Noru quét qua phía Bắc đảo Luzon. Tại tỉnh Bulacan, năm nhân viên cứu hộ thiệt mạng khi xuồng bị lật và hất họ xuống dòng nước lũ, Thống đốc Daniel Fernando cho biết.

Những hình ảnh từ hiện trường cũng cho thấy nhiều người dân phải lên mái nhà tránh lũ khi mực nước dâng cao. Ruộng đồng của người dân ngập trắng nước, trong khi tình trạng lở đất cũng được ghi nhận ở vùng núi.

“Đây là trận lũ lớn nhất từng xảy ra ở đây”, ông Elpidio de la Cruz, một cư dân địa phương, chia sẻ với Reuters. Mực nước trước của nhà ông ngập đến đầu gối. “Có lúc nước đã chạm đến tầng hai”, ông cho biết.

Nhiều khu vực tại Philippines rơi vào cảnh ngập lụt do bão Noru. Ảnh: Reuters.
Ông Teody Simbulan, một cư dân khác, cầu cứu. “Người dân ở đây cần sự hỗ trợ như thức ăn, nước uống và thuốc men”, ông nói.

Noru được coi là cơn bão mạnh nhất mà Philippines phải đối phó trong năm nay. Dù vậy, đây chưa phải cơn bão có cường độ lớn nhất từ Thái Bình Dương đổ vào châu Á trong mùa bão này.

Khu vực Đông Bắc Á vừa hứng chịu hai cơn bão lớn - Hinnamnor và Nanmadol - khiến hơn 10 người thiệt mạng, hàng trăm chuyến bay bị hủy bỏ và hàng triệu người phải sơ tán. Trong đó, Hinnamnor được coi là siêu bão mạnh nhất toàn cầu năm 2022 với sức gió có thời điểm vượt 250 km/h.

Khi bão Hinnamnor quét qua Hàn Quốc, lực lượng chức năng đã tìm thấy 7 thi thể dưới hầm gửi xe trong một tổ hợp căn hộ ở thành phố Pohang, cơ quan ứng phó thiên tai Hàn Quốc cho biết. Theo truyền thông địa phương, 9 người này bị mắc kẹt khi xuống hầm để đưa ôtô ra ngoài khi mưa lớn.

Trong khi đó, bão Nanmadol đã khiến bốn người Nhật Bản thiệt mạng, bất chấp giới chức nước này trước đó kêu gọi sơ tán khoảng 2,9 triệu cư dân ở đảo Kyushu, cũng như đưa ra mức cảnh báo cao nhất đối với tỉnh Kagoshima.

Ít nhất 114 người khác cũng bị thương - bao gồm 14 người bị thương nặng, theo Chánh Văn phòng Nội các Nhật Bản Matsuno Hirokazu.

Châu Mỹ chuẩn bị
Cách châu Á nửa vòng Trái Đất, Cuba, Mỹ và một số quốc gia vùng Caribe đang phải chuẩn bị đối phó với bão Ian. Đây là cơn bão thứ 9 xuất hiện tại Đại Tây Dương trong mùa bão năm nay.

Hình thành hôm 23/9 ở vùng biển Tây Nam Cuba, bão Ian dần mạnh lên khi di chuyển về phía Tây Bắc tới khu vực phía Tây hòn đảo này.

Ngày 26/9, Viện Khí tượng Cuba và Trung tâm Bão Quốc gia Mỹ (NHC) cho biết Ian đã trở thành một cơn bão lớn (hurricane) - thuật ngữ để chỉ những cơn bão nhiệt đới có tốc độ gió trên 74 dặm/h (khoảng 119 km/h). Vận tốc gió được ghi nhận vào rạng sáng 26/9 (giờ địa phương) là khoảng 120 km/h.

Hôm 25/9, các du khách ở đảo Juventud và khu du lịch trên đảo Cayo Largo đã được sơ tán. Các cảng ở miền Tây Cuba đã không cho tàu thuyền ra khơi từ tối 23/9, trong khi ngư dân được kêu gọi quay về bờ.

Đường đi dự kiến của bão Ian. Ảnh: NHC/NPR.
Bên cạnh Cuba, bang Florida (Mỹ) cũng đang phải chuẩn bị đón bão. Thống đốc Ron DeSantis hôm 25/9 đã tuyên bố tình trạng khẩn cấp toàn bang, cũng như thúc giục người dân tích trữ thực phẩm, nước uống, thuốc men, xăng dầu và sẵn sàng trước khả năng bị cắt điện.

2.500 binh sĩ thuộc lực lượng Vệ binh Quốc gia bang Florida đã được huy động để đối phó vụ việc, AFP cho biết. Giới chức nhiều thành phố Florida - bao gồm Miami, Fort Lauderdale và Tampa - đã phân phát bao cát miễn phí để giúp người dân đối phó nguy cơ lũ lụt. Trong khi đó, Tổng thống Joe Biden đã thông qua gói viện trợ khẩn cấp cho 24 hạt tại Florida.

Khi đổ bộ vào Florida, bão có thể mạnh tới cấp độ 4 theo thang đo Saffir-Simpson với sức gió lên đến 225 km/h, AP cho biết.

Trong khi đó, vùng biển Caribe và miền Đông Canada vẫn đang trong quá trình khắc phục hậu quả của cơn bão Fiona quét qua khu vực hồi tuần trước.

Hình thành từ giữa Đại Tây Dương, bão Fiona di chuyển theo hướng tây và quét qua hàng loạt quốc đảo vùng Caribe, trước khi đổi hướng đi lên phía bắc để đổ bộ vào vùng ven biển Đông Canada. Đây là cơn bão lớn đầu tiên trong mùa bão Đại Tây Dương năm nay, có sức gió mạnh nhất lên đến 215 km/h.

Cơn bão đã khiến ít nhất bảy người ở vùng Caribe và hai người Canada thiệt mạng, AFP đưa tin.

“Sự tàn phá là rất lớn”, Thủ hiến tỉnh Nova Scotia (Canada) Tim Houston nói với báo giới. “Cường độ của cơn bão là không thể tưởng tượng”.

VietBF@ sưu tập
Dịch trang: EnglishEnglish DeutschDeutsch FrançaisFrançais EspañolEspañol ItalianoItaliano PortuguêsPortuguês
NorskNorsk NederlandsNederlands DanskDansk SuomiSuomi PolskiPolski ČeštinaČeština РусскийРусский
日本語日本語 한국어한국어 中文(简体)中文(简体) 中文(繁體)中文(繁體) MagyarMagyar TürkçeTürkçe
العربيةالعربية ไทยไทย LatinaLatina हिन्दीहिन्दी Bahasa IndonesiaBahasa Indonesia Bahasa MelayuBahasa Melayu
VIETBF Hybrid Community Content Hub

HOT NEWS 24h

HOT 3 Days

NEWS 3 Days

HOT 7 Days

NEWS 7 Days

HOME

Breaking News

VietOversea

World News

Business News

Car News

Computer News

Game News

USA News

Mobile News

Music News

Movies News

History

Thơ Ca

Sport News

Stranger Stories

Comedy Stories

Cooking Chat

Nice Pictures

Fashion

School

Travelling

Funny Videos

Canada Tin Hay

USA Tin Hay

VietBF Homepage Autoscroll

VietBF Video Autoscroll Portal

Video Classic Master

iPad News Portal

VietBF iPad Music Portal

Tin nóng nhất 50h qua

Phim Bộ Online

iMusic Pro Max



pizza
R11 Tuyệt Thế Thiên Hạ
Release: 09-27-2022
Reputation: 237264


Profile:
Join Date: Sep 2014
Posts: 111,086
Last Update: None Rating: None
Attached Thumbnails
Click image for larger version

Name:	361.JPG
Views:	0
Size:	80.5 KB
ID:	2117337   Click image for larger version

Name:	362.JPG
Views:	0
Size:	87.5 KB
ID:	2117338   Click image for larger version

Name:	363.JPG
Views:	0
Size:	49.7 KB
ID:	2117339  

pizza_is_offline
Thanks: 7
Thanked 8,161 Times in 7,271 Posts
Mentioned: 6 Post(s)
Tagged: 0 Thread(s)
Quoted: 41 Post(s)
Rep Power: 134
pizza Reputation Uy Tín Level 10pizza Reputation Uy Tín Level 10pizza Reputation Uy Tín Level 10pizza Reputation Uy Tín Level 10pizza Reputation Uy Tín Level 10pizza Reputation Uy Tín Level 10pizza Reputation Uy Tín Level 10
pizza Reputation Uy Tín Level 10pizza Reputation Uy Tín Level 10pizza Reputation Uy Tín Level 10pizza Reputation Uy Tín Level 10pizza Reputation Uy Tín Level 10pizza Reputation Uy Tín Level 10pizza Reputation Uy Tín Level 10pizza Reputation Uy Tín Level 10pizza Reputation Uy Tín Level 10pizza Reputation Uy Tín Level 10pizza Reputation Uy Tín Level 10pizza Reputation Uy Tín Level 10pizza Reputation Uy Tín Level 10pizza Reputation Uy Tín Level 10pizza Reputation Uy Tín Level 10pizza Reputation Uy Tín Level 10pizza Reputation Uy Tín Level 10pizza Reputation Uy Tín Level 10pizza Reputation Uy Tín Level 10pizza Reputation Uy Tín Level 10pizza Reputation Uy Tín Level 10pizza Reputation Uy Tín Level 10
Dịch trang: EnglishEnglish DeutschDeutsch FrançaisFrançais EspañolEspañol ItalianoItaliano PortuguêsPortuguês
NorskNorsk NederlandsNederlands DanskDansk SuomiSuomi PolskiPolski ČeštinaČeština РусскийРусский
日本語日本語 한국어한국어 中文(简体)中文(简体) 中文(繁體)中文(繁體) MagyarMagyar TürkçeTürkçe
العربيةالعربية ไทยไทย LatinaLatina हिन्दीहिन्दी Bahasa IndonesiaBahasa Indonesia Bahasa MelayuBahasa Melayu
 
User Tag List


Triều đại 4.000 tỷ đô thay tên đổi chủ: Tim Cook rời ghế CEO Apple, "Kỹ sư trưởng" John Ternus chính thức lộ diện Iran chưa thấy quan tài chưa đổ lệ, lần này Mỹ sẽ đánh cho Ma Giáo Ba Tư không còn đất chôn Chiếc áo phao Titanic lập kỷ lục bán giá 904.500 USD
Canh bạc nghìn tỷ đô tại Hormuz Những chuyện hài hôm nay +videos Mỹ – Iran giằng co sinh tử
Thánh Rắc Muối phục vụ cho các nhà độc tài nguy cơ sập tiệm Kiều hối về VN giảm kỷ lục, nguy cơ xuất hiện người chết đói đầy đường Mỹ - Iran bên bờ vực "vỡ trận": Trump ra tối hậu thư, đại lộ Hormuz lại nghẽn lối!
Cuba “quay về quá khứ”: Khi xe ngựa thay thế ô tô giữa cơn khát xăng dầu Vĩnh Biệt Trưởng Sato Trần Xuân Nhật – Một Đời Hướng Đạo, Một Kiếp Nhân Sinh Một Buổi Sáng Ở Úc: Khi Tuổi Già Được Nâng Niu – Nghĩ Về Phận Người Nơi Quê Nhà
Mỹ điều tàu sân bay số 77 đánh Iran Một đời vì cộng đồng: Luật Sư Nguyễn Xuân Nghĩa đột ngột qua đời, để lại niềm tiếc thương vô hạn Nguyên nhân Việt Cộng bố ráp cửa hàng vàng Bảo Tín Minh Châu
Mỹ tiết lộ gây sốc toàn cầu : Tân Giáo Chủ Iran là một "Đông Phương Bất Bại" mới Trump đổi giọng phút chót: vừa mở cửa đàm phán, vừa dọa leo thang – Iran đứng trước ngã rẽ sinh tử Tướng Tư lệnh Hải quân Iran phòng thủ Hormuz bị giết chết, Iran binh bại như núi đổ
Tiên đoán chiến sự Mỹ – Israel vs Iran sẽ đi về đâu? 4 kịch bản chính Vì sao Mỹ sản xuất dầu nhiều nhất thế giới nhưng chiến tranh với Iran vẫn làm giá xăng ở Mỹ tăng? Cập nhật thông tin mới nhất: Iran doạ cứ tàu Mỹ là bắn, tàu Trung Cộng, Việt Cộng, Hàn Cộng ... cho qua
Cập nhật những thông tin mới nhất: Mỹ bắt đầu “giải cứu” công dân rời Trung Đông ... Cập nhật những thông tin mới nhất: Mojtaba Khamenei – người con bí ẩn của lãnh tụ tối cao Iran và khả năng kế vị quyền lực tối thượng Những thông tin mới nhất: Tehran rung chuyển, hơn 1.000 người chết, eo biển Hormuz tắc nghẽn
Cập nhật tình hình mới nhất: Trung Đông “rung chuyển” sáng 4/3/2026: rocket từ Lebanon, mưa tên lửa – drone, và eo biển Hormuz gần như “tắt thở” Những thông tin mới nhất về Chiến dịch đánh Iran Tình hình mới nhất: Chiến dịch tại Trung Đông

 

iPad Videos Portal Autoscroll

VietBF Music Portal Autoscroll

iPad News Portal Autoscroll

VietBF Homepage Autoscroll

VietBF Video Autoscroll Portal

USA News Autoscroll Portall

VietBF WORLD Autoscroll Portal

Video Classic Master Page

Super Widescreen

iPad World Portal Autoscroll

iPad USA Portal Autoscroll

Phim Bộ Online
Lên đầu Xuống dưới Lên 3000px Xuống 3000px

Tin nóng nhất 24h qua

Tin nóng nhất 3 ngày qua

Tin nóng nhất 7 ngày qua

Tin nóng nhất 30 ngày qua

Albums

Total Videos Online

Tranh luận sôi nổi nhất 7 ngày qua

Tranh luận sôi nổi nhất 14 ngày qua

Tranh luận sôi nổi nhất 30 ngày qua

10.000 Tin mới nhất

Tin tức Hoa Kỳ

Tin tức Công nghệ
Lên đầu Xuống dưới Lên 3000px Xuống 3000px

Duo Series Movies Portal

Duo Music Portal

Phim Bộ

Tỷ Giá

Thời Tiết

Tin Nóng Nhất 50h

Super News

School Cooking Traveling Portal

Enter Portal

Series Shows and Movies Online

Home Classic Master Page

Donation Ủng hộ $3 cho VietBF
Lên đầu Xuống dưới Lên 3000px Xuống 3000px
Diễn Đàn Người Việt Hải Ngoại. Tự do ngôn luận, an toàn và uy tín. Vì một tương lai tươi đẹp cho các thế hệ Việt Nam hãy ghé thăm chúng tôi, hãy tâm sự với chúng tôi mỗi ngày, mỗi giờ và mỗi giây phút có thể. VietBF.Com Xin cám ơn các bạn, chúc tất cả các bạn vui vẻ và gặp nhiều may mắn.
Welcome to Vietnamese American Community, Vietnamese European, Canadian, Australian Forum, Vietnamese Overseas Forum. Freedom of speech, safety and prestige. For a beautiful future for Vietnamese generations, please visit us, talk to us every day, every hour and every moment possible. VietBF.Com Thank you all and good luck.

Lên đầu Xuống dưới Lên 3000px Xuống 3000px

All times are GMT. The time now is 19:56.
VietBF - Vietnamese Best Forum Copyright ©2005 - 2026
User Alert System provided by Advanced User Tagging (Pro) - vBulletin Mods & Addons Copyright © 2026 DragonByte Technologies Ltd.
Log Out Unregistered

Page generated in 0.29813 seconds with 15 queries