HOME-Au
HOME-Au
24h
24h
USA
USA
GOP
GOP
Phim Bộ
Phim Bộ
Videoauto
VIDEO-Au
Donation
Donation
News Book
News Book
News 50
News 50
worldautoscroll
WORLD-Au
Breaking
Breaking
 

Go Back   VietBF > World > World News|Tin Thế Giới > World News |Tin Thế Giới 2019-2021


 
Thread Tools
 
 
  #1  
Old  Default Kinh hoàng về ức mạnh siêu bão Haishen đổ bộ Nhật Bản
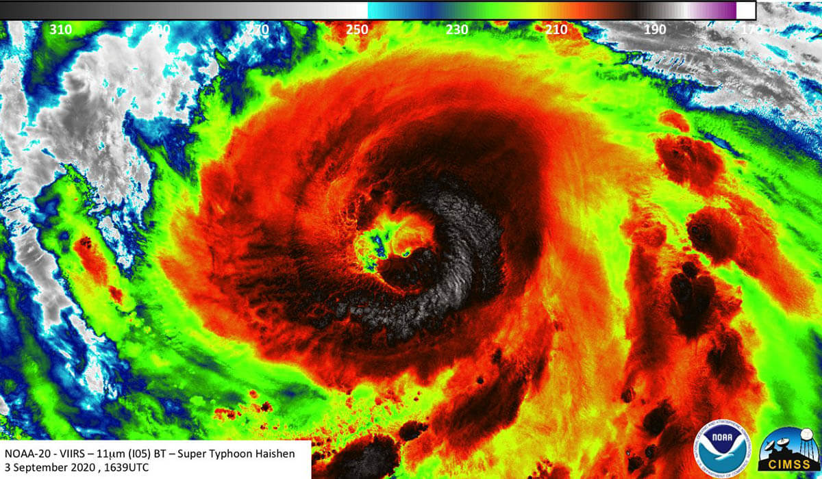
Sức mạnh siêu bão Haishen đổ bộ Nhật Bản thật kinh khủng: Vật vô hại hóa vũ khí nguy hiểm. Siêu bão Haishen cực mạnh đang tiến về phía bờ biển Nhật Bản. Theo cơ quan khí tượng Nhật Bản (JMA), nó có thể đánh sập dây cáp điện, lật các xe tải đang di chuyển và biến các vật thể như ô, khăn ướt, tạp chí... thành vũ khí nguy hiểm.



Ảnh: Severe Weather

Hãng CNN Weather hôm 6/9 đưa tin, siêu bão Haishen có sức gió duy trì ở mức 195 km/h và gió giật lên tới 240 km/h, tương đương với bão cấp độ 3 trong thang đo 5 cấp của Mỹ.

Haishen là cơn bão mạnh thứ 2 đổ bộ vào Nhật Bản trong một tuần. Trước đó, siêu bão Maysak, tương đương cấp 4 trong thang đo của Mỹ với sức gió 209 km/h, đã đổ bộ vào quốc gia Đông Á.

Bão Haishen đổ bộ vào quần đảo Ryukyu, phía tây nam Nhật Bản hôm 6/9, gây ra gió mạnh, mưa lớn cho khu vực này và khiến hàng nghìn hộ gia đình sống trong cảnh tối tăm vì mất điện.

Theo JMA, bão Haishen đang ở gần đảo Amami-Oshima thuộc tỉnh Kagoshima và sẽ di chuyển theo hướng bắc về bờ biển phía tây đảo Kyushu từ đêm 6/9 tới sáng 7/9 (giờ địa phương). Cơn bão dự kiến tiếp tục di chuyển theo hướng bắc, ảnh hưởng tới bán đảo Triều Tiên trong 36 giờ tới.

JMA cho biết Haishen đã suy yếu đôi chút nhưng vẫn khuyến cáo người dân cảnh giác tối đa với mưa to, gió lớn, sóng cao và triều cường. Cơn bão dự kiến sẽ mang lại lượng mưa từ 100 tới 150 mm cho Nhật Bản và bán đảo Triều Tiên. Một số khu vực, lượng mưa lên đến hơn 200 mm.

Tại tỉnh Kagoshima, hơn 246.000 người đã phải sơ tán, theo NHK. Ngoài ra, hơn 36.000 người phải sơ tán khỏi nhà tại tỉnh Nagasaki trước khi bão đổ bộ. Hơn 200.000 ngôi nhà ở tỉnh Kagoshima và hơn 3.900 ngôi nhà ở Okinawa bị mất điện.



Do ảnh hưởng của siêu bão Haishen, sóng lớn xuất hiện tại bờ biển đảo Amami Oshima, thuộc tỉnh Kagoshima hôm 5/9. Ảnh: Reuters

Theo Nikkei Asian Review, JMA chuẩn bị đưa ra "cảnh báo khẩn cấp" với Kagoshima, tỉnh cực nam trên đảo Kyushu của Nhật Bản về nguy cơ từ bão Haishen. Nếu được ban hành, đây sẽ là cảnh báo đầu tiên bên ngoài đảo Okinawa kể từ khi hệ thống này đi vào hoạt động năm 2013.

Cảnh báo khẩn cấp được đưa ra khi áp suất khí quyển giảm xuống chỉ còn 930 hectopascal (đơn vị đo áp suất phổ biến ở Mỹ) tại tâm bão và tốc độ gió vượt 50 m/s.

Để dễ hình dung, JMA cho biết tốc độ gió 50 m/s sẽ làm đổ cây cối, cột điện, đèn đường và hàng rào đá. Các bức tường bên ngoài nhà cũng có thể bị "xé toạc", xe tải đang di chuyển có thể bị lật.

Nếu gió tiếp tục mạnh lên và đạt tới vận tốc 60 m/s, các ngôi nhà bắt đầu rung chuyển và có thể đổ sụp bất cứ lúc nào. "Những chiếc ô bay", tạp chí và quần áo ướt sẽ đâm xuyên qua cửa sổ bằng kính, trở thành vũ khí nguy hiểm, theo JMA.

Cơn bão Haishen còn ảnh hưởng tới Hàn Quốc, Triều Tiên và Trung Quốc. Tại Hàn Quốc, Cục khí tượng hàn Quốc hôm 5/9 cho biết, Haishen đang di chuyển xa hơn về phía đông so với dự đoán, nhiều khả năng chỉ đi qua chứ không đổ bộ. Tuy nhiên, Haishen vẫn gây ra gió mạnh và mưa lớn ở Hàn Quốc. Giới chức cảng Incheon cho biết họ đã đình chỉ hoạt động của phà chở khách tới 2 hòn đảo xa, theo hãng Yonhap.

Tại Triều Tiên, Đài phát thanh truyền hình Triều Tiên cảnh báo người dân phải đối mặt với lũ lụt và cho biết bão Haishen sẽ gây tổn thất nghiêm trọng cho các ngành kinh tế của đất nước, nhất là nông nghiệp.

Tại Trung Quốc, đài thiên văn quốc gia hôm 5/9 đã gia hạn cảnh báo cấp độ xanh dương (mức thứ 1 trong thang đo 4 màu) với bão Haishen, cảnh báo gió mạnh sẽ xuất hiện ở khu vực miền đông đất nước. Trung tâm khí tượng quốc gia Trung Quốc cho biết, từ đêm 5/9 đến đêm 6/9, gió lớn do bão Haishen gây ra sẽ ảnh hưởng tới các khu vực biển Hoa Đông, biển Hoàng Hải và vùng biển ngoài khơi phía đông đảo Đài Loan.

VietBF@ sưu tầm.
Dịch trang: EnglishEnglish DeutschDeutsch FrançaisFrançais EspañolEspañol ItalianoItaliano PortuguêsPortuguês
NorskNorsk NederlandsNederlands DanskDansk SuomiSuomi PolskiPolski ČeštinaČeština РусскийРусский
日本語日本語 한국어한국어 中文(简体)中文(简体) 中文(繁體)中文(繁體) MagyarMagyar TürkçeTürkçe
العربيةالعربية ไทยไทย LatinaLatina हिन्दीहिन्दी Bahasa IndonesiaBahasa Indonesia Bahasa MelayuBahasa Melayu
VIETBF Hybrid Community Content Hub

HOT NEWS 24h

HOT 3 Days

NEWS 3 Days

HOT 7 Days

NEWS 7 Days

HOME

Breaking News

VietOversea

World News

Business News

Car News

Computer News

Game News

USA News

Mobile News

Music News

Movies News

History

Thơ Ca

Sport News

Stranger Stories

Comedy Stories

Cooking Chat

Nice Pictures

Fashion

School

Travelling

Funny Videos

Canada Tin Hay

USA Tin Hay

VietBF Homepage Autoscroll

VietBF Video Autoscroll Portal

Video Classic Master

iPad News Portal

VietBF iPad Music Portal

Tin nóng nhất 50h qua

Phim Bộ Online

iMusic Pro Max



PinaColada
R11 Tuyệt Thế Thiên Hạ
Release: 09-06-2020
Reputation: 137167


Profile:
Join Date: Oct 2013
Posts: 123,682
Last Update: None Rating: None
Attached Thumbnails
Click image for larger version

Name:	481.jpg
Views:	0
Size:	197.1 KB
ID:	1649161   Click image for larger version

Name:	482.jpg
Views:	0
Size:	96.0 KB
ID:	1649162  
PinaColada_is_offline
Thanks: 9
Thanked 7,962 Times in 7,085 Posts
Mentioned: 2 Post(s)
Tagged: 0 Thread(s)
Quoted: 23 Post(s)
Rep Power: 142
PinaColada Reputation Uy Tín Level 9PinaColada Reputation Uy Tín Level 9PinaColada Reputation Uy Tín Level 9PinaColada Reputation Uy Tín Level 9PinaColada Reputation Uy Tín Level 9
PinaColada Reputation Uy Tín Level 9PinaColada Reputation Uy Tín Level 9PinaColada Reputation Uy Tín Level 9PinaColada Reputation Uy Tín Level 9PinaColada Reputation Uy Tín Level 9PinaColada Reputation Uy Tín Level 9PinaColada Reputation Uy Tín Level 9PinaColada Reputation Uy Tín Level 9PinaColada Reputation Uy Tín Level 9PinaColada Reputation Uy Tín Level 9PinaColada Reputation Uy Tín Level 9PinaColada Reputation Uy Tín Level 9PinaColada Reputation Uy Tín Level 9PinaColada Reputation Uy Tín Level 9PinaColada Reputation Uy Tín Level 9PinaColada Reputation Uy Tín Level 9PinaColada Reputation Uy Tín Level 9PinaColada Reputation Uy Tín Level 9PinaColada Reputation Uy Tín Level 9PinaColada Reputation Uy Tín Level 9PinaColada Reputation Uy Tín Level 9PinaColada Reputation Uy Tín Level 9
Dịch trang: EnglishEnglish DeutschDeutsch FrançaisFrançais EspañolEspañol ItalianoItaliano PortuguêsPortuguês
NorskNorsk NederlandsNederlands DanskDansk SuomiSuomi PolskiPolski ČeštinaČeština РусскийРусский
日本語日本語 한국어한국어 中文(简体)中文(简体) 中文(繁體)中文(繁體) MagyarMagyar TürkçeTürkçe
العربيةالعربية ไทยไทย LatinaLatina हिन्दीहिन्दी Bahasa IndonesiaBahasa Indonesia Bahasa MelayuBahasa Melayu
 
User Tag List

Thread Tools

CHINA - "Bóng ma" MT Tifani và Trạm xăng nổi giữa đại dương USA - "Ván bài lật ngửa" ở Florida ENGLAND - Vua Anh sang Mỹ dập tắt "lửa"
USA - Cuộc chiến "Thuốc diệt cỏ" USA - Nghề "làm dâu trăm họ" giữa không trung USA - Trump & Đệ nhất phu nhân đòi đuổi Jimmy Kimmel
USA - Những chuyện hài hước nhất hôm nay +221 videos VN - Chấn động Quận 1: Hà Tâm bị bố ráp USA - Zillow & Redfin "đầu hàng" trước Compass?
Mẹ nhà báo chống Cộng "Cô Gái Đồ Long" qua đời Số phận "16 tấn vàng của TT Thiệu" và 40 tấn vàng của VNCH Nam ca sĩ Hải Ngoại bất tỉnh nhân sự, sắp qua đời
Eo biển Hormuz lại “tắt lửa”: Israel đánh Lebanon, Iran lập tức siết van dầu – Thỏa thuận ngừng bắn Mỹ–Iran đứng bên bờ sụp đổ Israel không dừng tay: Vì sao Hezbollah vẫn là “mục tiêu sống còn” dù Mỹ–Iran nói chuyện hòa bình? Trump đặt “lằn ranh đỏ” uranium: Đàm phán Mỹ – Iran bước vào giai đoạn quyết định, Trung Đông căng như dây đàn
Iran lại đóng eo Hormuz, dầu mỏ nghẹt thở: Trung Đông bước vào ván cờ quyền lực mới đầy bất trắc Eo biển Hormuz mở lại sau lệnh ngừng bắn: Mỹ tuyên bố chiến thắng, nhưng Trung Đông vẫn như “lửa âm ỉ dưới tro tàn” Ngừng bắn 14 ngày Mỹ – Iran: Khoảng lặng trước bão
Úc từ chối gửi tàu tới eo biển Hormuz, đồng minh Mỹ bắt đầu do dự trước lời kêu gọi của Trump Ông Trump phàn nàn, NATO, Liên minh mà chẳng chịu giúp gì, kêu gọi cả Trung Quốc tham gia mở lại eo biển Hormuz giữa khủng hoảng dầu mỏ toàn cầu Sáu quân nhân Không quân Mỹ thiệt mạng trong vụ rơi máy bay KC-135 tại Iraq – những con người phía sau một nhiệm vụ chiến tranh
Trump nghi ngờ Giáo Chủ Iran Mojtaba Khamenei đã chết, Tehran khẳng định “vẫn khỏe mạnh” Formula 1: hai chặng Bahrain và Saudi Arabia bị hủy trong tháng 4, lịch đua thế giới đảo lộn Israel tuyên bố hạ sát hai tướng tình báo Iran, 400 đợt không kích dội xuống Tehran và miền tây Iran
Drone tự sát đánh vào Đại sứ quán Mỹ tại Baghdad: chiến tranh Trung Đông lan tới “Vùng Xanh”, khói lửa bốc lên giữa thủ đô Iraq Iran đánh cảng dầu của UAE, cảnh cáo Mỹ sau vụ tổng oanh tạc đảo Kharg Mỹ tổng không kích Kharg, dọn đường cho khả năng đổ bộ, Iran đứng trước kịch bản “đốt đảo” nếu thất thủ
Cuộc đấu trí giữa Lầu Năm Góc và các ông lớn AI Từ quan chức Đảng đến người kéo mì ở New York Bóng Ma Epstein Trở Lại: Bill Clinton bị thẩm vấn
Hillary Clinton đối mặt hồ sơ Epstein Chủ tịch Thành Phố Hà Nội bị mất chức Hàn Cộng đe doạ bắn tên lửa nguyên tử
Cựu phi công Mỹ bị cáo buộc huấn luyện không quân Trung Quốc 200 vạn binh Hoa Kỳ sẵn sàng đánh phủ đầu Iran Cuộc đại thanh trừng trong quân đội Trung Quốc sâu đến mức nào?

 

iPad Videos Portal Autoscroll

VietBF Music Portal Autoscroll

iPad News Portal Autoscroll

VietBF Homepage Autoscroll

VietBF Video Autoscroll Portal

USA News Autoscroll Portall

VietBF WORLD Autoscroll Portal

Video Classic Master Page

Super Widescreen

iPad World Portal Autoscroll

iPad USA Portal Autoscroll

Phim Bộ Online
Lên đầu Xuống dưới Lên 3000px Xuống 3000px

Tin nóng nhất 24h qua

Tin nóng nhất 3 ngày qua

Tin nóng nhất 7 ngày qua

Tin nóng nhất 30 ngày qua

Albums

Total Videos Online

Tranh luận sôi nổi nhất 7 ngày qua

Tranh luận sôi nổi nhất 14 ngày qua

Tranh luận sôi nổi nhất 30 ngày qua

10.000 Tin mới nhất

Tin tức Hoa Kỳ

Tin tức Công nghệ
Lên đầu Xuống dưới Lên 3000px Xuống 3000px

Duo Series Movies Portal

Duo Music Portal

Phim Bộ

Tỷ Giá

Thời Tiết

Tin Nóng Nhất 50h

Super News

School Cooking Traveling Portal

Enter Portal

Series Shows and Movies Online

Home Classic Master Page

Donation Ủng hộ $3 cho VietBF
Lên đầu Xuống dưới Lên 3000px Xuống 3000px
Diễn Đàn Người Việt Hải Ngoại. Tự do ngôn luận, an toàn và uy tín. Vì một tương lai tươi đẹp cho các thế hệ Việt Nam hãy ghé thăm chúng tôi, hãy tâm sự với chúng tôi mỗi ngày, mỗi giờ và mỗi giây phút có thể. VietBF.Com Xin cám ơn các bạn, chúc tất cả các bạn vui vẻ và gặp nhiều may mắn.
Welcome to Vietnamese American Community, Vietnamese European, Canadian, Australian Forum, Vietnamese Overseas Forum. Freedom of speech, safety and prestige. For a beautiful future for Vietnamese generations, please visit us, talk to us every day, every hour and every moment possible. VietBF.Com Thank you all and good luck.

Lên đầu Xuống dưới Lên 3000px Xuống 3000px

All times are GMT. The time now is 18:05.
VietBF - Vietnamese Best Forum Copyright ©2005 - 2026
User Alert System provided by Advanced User Tagging (Pro) - vBulletin Mods & Addons Copyright © 2026 DragonByte Technologies Ltd.
Log Out Unregistered

Page generated in 0.09942 seconds with 13 queries