HOME-Au
HOME-Au
24h
24h
USA
USA
GOP
GOP
Phim Bộ
Phim Bộ
Videoauto
VIDEO-Au
Home Classic
Home Classic
Donation
Donation
News Book
News Book
News 50
News 50
worldautoscroll
WORLD-Au
Breaking
Breaking
 

Go Back   VietBF > World Box| Thế Giới > World News|Tin Thế Giới > World News |Tin Thế Giới 2021-2023


 
 
Thread Tools
  #1  
Old  Default Philippines sắp bị siêu bão kỷ lục tấn công
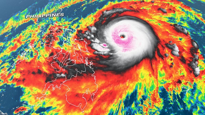
Siêu bão mạnh kỷ lục áp sát Philippines. Cơn bão mang tên Surigae. Đây là siêu bão cấp 5 đầu tiên trong năm 2021, đang áp sát vùng biển phía đông của Philippines. Đây là cơn bão mạnh nhất từng được ghi nhận trong mọi tháng 4 từ trước đến nay.

Theo CNN, trong sáng 18/4, siêu bão Surigae đã tiếp tục mạnh lên, với sức gió tối đa duy trì ở mức 305 km/h, và áp sát Philippines.

Theo dữ liệu bão của Cơ quan Quản lý Khí quyển và Đại dương quốc gia Mỹ, Surigae đã vượt qua Maysak để trở thành cơn bão mạnh nhất từ trước đến nay từng xuất hiện trong một tháng 4.

Sức mạnh của Surigae hiện đã gần bằng siêu bão Haiyan khiến hơn 6.300 người chết khi đổ bộ Philippines năm 2013.


Siêu bão Surigae có sức gió lên tới 305 km/h. Ảnh: CNN.
Theo dự báo, siêu bão Surigae sẽ tiếp tục duy trì cường độ hiện nay trong ít nhất 12 giờ tới, trước khi suy yếu một chút, với sức gió giảm xuống còn 295 km/h. Trong tối 18/4, siêu bão Surigae sẽ đi qua vùng Catanduanes của Philippines.

Cục quản lý Thiên văn, Địa vật lý và Khí quyển Philippines (PAGASA) đã báo động tại các đảo Luzon, Visayas, Northern Samar, Eastern Samar, Samar và Mindanao.

Siêu bão sẽ mang gió giật mạnh và mưa lớn tới các khu vực ở đông bắc Philippines. Nhà chức trách cảnh báo lũ lụt, lũ quét và sạt lở đất sẽ xuất hiện trong cơn bão.

Từ khi xuất hiện hồi đầu tuần, siêu bão Surigae đã di chuyển với tốc độ chậm hướng về Philippines. Siêu bão liên tục mạnh lên từ hôm 16/4 khi gần áp sát Philippines.

Bão Surigae mạnh lên nhanh chóng xuất phát từ các điều kiện lý tưởng tại phía tây Thái Bình Dương, trong đó có nhiệt độ nước biển cao hơn trung bình hàng năm.

VietBF@ sưu tập.
VIETBF Diễn Đàn Hay Nhất Của Người Việt Nam

HOT NEWS 24h

HOT 3 Days

NEWS 3 Days

HOT 7 Days

NEWS 7 Days

HOME

Breaking News

VietOversea

World News

Business News

Car News

Computer News

Game News

USA News

Mobile News

Music News

Movies News

History

Thơ Ca

Sport News

Stranger Stories

Comedy Stories

Cooking Chat

Nice Pictures

Fashion

School

Travelling

Funny Videos

Canada Tin Hay

USA Tin Hay

10.000 Tin mới nhất

Tin nóng nhất 24h qua

Super News

Tin tức Hoa Kỳ


PinaColada
R11 Tuyệt Thế Thiên Hạ
Release: 04-17-2021
Reputation: 136901


Profile:
Join Date: Oct 2013
Posts: 117,020
Last Update: None Rating: None
Attached Thumbnails
Click image for larger version

Name:	391.jpg
Views:	0
Size:	150.1 KB
ID:	1775821  
PinaColada_is_offline
Thanks: 9
Thanked 7,829 Times in 6,959 Posts
Mentioned: 2 Post(s)
Tagged: 0 Thread(s)
Quoted: 23 Post(s)
Rep Power: 135
PinaColada Reputation Uy Tín Level 9PinaColada Reputation Uy Tín Level 9PinaColada Reputation Uy Tín Level 9PinaColada Reputation Uy Tín Level 9PinaColada Reputation Uy Tín Level 9
PinaColada Reputation Uy Tín Level 9PinaColada Reputation Uy Tín Level 9PinaColada Reputation Uy Tín Level 9PinaColada Reputation Uy Tín Level 9PinaColada Reputation Uy Tín Level 9PinaColada Reputation Uy Tín Level 9PinaColada Reputation Uy Tín Level 9PinaColada Reputation Uy Tín Level 9PinaColada Reputation Uy Tín Level 9PinaColada Reputation Uy Tín Level 9PinaColada Reputation Uy Tín Level 9PinaColada Reputation Uy Tín Level 9PinaColada Reputation Uy Tín Level 9PinaColada Reputation Uy Tín Level 9PinaColada Reputation Uy Tín Level 9PinaColada Reputation Uy Tín Level 9PinaColada Reputation Uy Tín Level 9PinaColada Reputation Uy Tín Level 9PinaColada Reputation Uy Tín Level 9PinaColada Reputation Uy Tín Level 9PinaColada Reputation Uy Tín Level 9
The Following User Says Thank You to PinaColada For This Useful Post:
maivang18 (04-18-2021)
 
User Tag List



 
Lên đầu Xuống dưới Lên 3000px Xuống 3000px

VietBF Homepage Autoscroll

VietBF Video Autoscroll Portal

USA News Autoscroll Portall

VietBF WORLD Autoscroll Portal

Home Classic

Super Widescreen

Tin nóng nhất 24h qua

Tin nóng nhất 3 ngày qua

Tin nóng nhất 7 ngày qua

Tin nóng nhất 30 ngày qua

Albums

Total Videos Online
Lên đầu Xuống dưới Lên 3000px Xuống 3000px

Tranh luận sôi nổi nhất 7 ngày qua

Tranh luận sôi nổi nhất 14 ngày qua

Tranh luận sôi nổi nhất 30 ngày qua

10.000 Tin mới nhất

Tin tức Hoa Kỳ

Tin tức Công nghệ
Lên đầu Xuống dưới Lên 3000px Xuống 3000px

Super News

School Cooking Traveling Portal

Enter Portal

Series Shows and Movies Online

SERIES ONLINE 1

Donation Ủng hộ $3 cho VietBF
Lên đầu Xuống dưới Lên 3000px Xuống 3000px
Diễn Đàn Người Việt Hải Ngoại. Tự do ngôn luận, an toàn và uy tín. Vì một tương lai tươi đẹp cho các thế hệ Việt Nam hãy ghé thăm chúng tôi, hãy tâm sự với chúng tôi mỗi ngày, mỗi giờ và mỗi giây phút có thể. VietBF.Com Xin cám ơn các bạn, chúc tất cả các bạn vui vẻ và gặp nhiều may mắn.
Welcome to Vietnamese American Community, Vietnamese European, Canadian, Australian Forum, Vietnamese Overseas Forum. Freedom of speech, safety and prestige. For a beautiful future for Vietnamese generations, please visit us, talk to us every day, every hour and every moment possible. VietBF.Com Thank you all and good luck.

Lên đầu Xuống dưới Lên 3000px Xuống 3000px

All times are GMT. The time now is 17:15.
VietBF - Vietnamese Best Forum Copyright ©2005 - 2025
User Alert System provided by Advanced User Tagging (Pro) - vBulletin Mods & Addons Copyright © 2025 DragonByte Technologies Ltd.
Log Out Unregistered

Page generated in 0.11720 seconds with 13 queries